编号技术要求.docx

上传人:p** 文档编号:87187 上传时间:2022-12-20 格式:DOCX 页数:14 大小:55.80KB
下载 相关 举报
编号技术要求.docx_第1页
第1页 / 共14页
编号技术要求.docx_第2页
第2页 / 共14页
编号技术要求.docx_第3页
第3页 / 共14页
编号技术要求.docx_第4页
第4页 / 共14页
编号技术要求.docx_第5页
第5页 / 共14页
编号技术要求.docx_第6页
第6页 / 共14页
编号技术要求.docx_第7页
第7页 / 共14页
编号技术要求.docx_第8页
第8页 / 共14页
编号技术要求.docx_第9页
第9页 / 共14页
编号技术要求.docx_第10页
第10页 / 共14页
亲,该文档总共14页,到这儿已超出免费预览范围,如果喜欢就下载吧!
资源描述

《编号技术要求.docx》由会员分享,可在线阅读,更多相关《编号技术要求.docx(14页珍藏版)》请在第壹文秘上搜索。

1、编号:技术要求(SOR)项目名称:焊装一车间扣合模吊装起重机采购项目编制:审核:会签:批准:更改记录:序号日期更改章节更改描述更改人一 .项目简介3二 .供货范围3三,项目节点3四 .技术要求3五 .制造和验收要求13六,质量保证及售后服务14七 .保密条款15八 .其他事项15九 .诉讼管辖及合同效力15一.项目简介为满足FV70车型车门投产及扣合模的维修要求,需开发车门扣合模的吊装起重机,实现扣合模在工作区内外的吊装及存放。本项目包括起重机的设计、制造、包装、运输、装卸、安如调试、交验、取证、质保期内免费维修与保养以及使用、维修、保养等方面的技术咨询服务等内容,项目为交钥匙工程。二.供货范

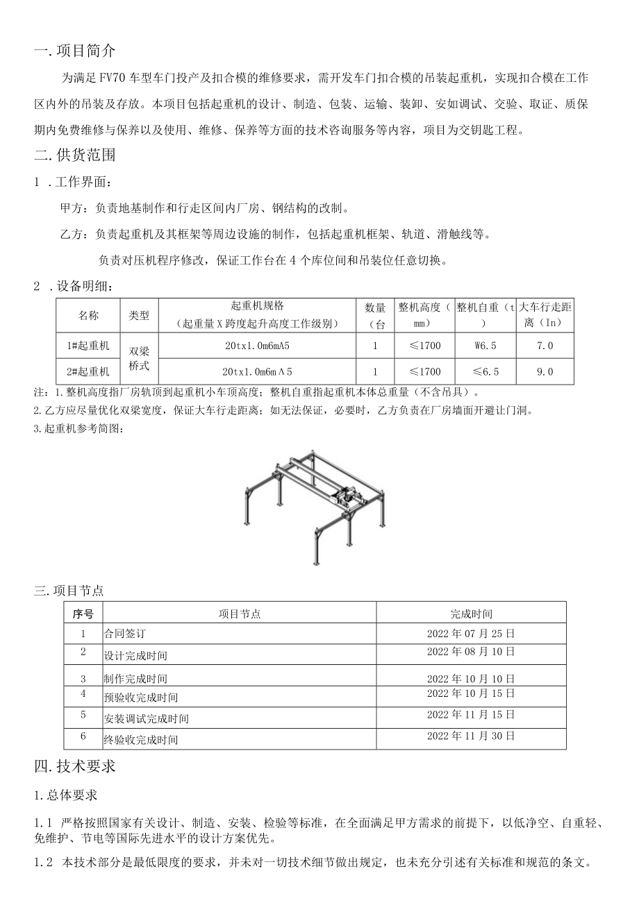
2、围1 .工作界面:甲方:负责地基制作和行走区间内厂房、钢结构的改制。乙方:负责起重机及其框架等周边设施的制作,包括起重机框架、轨道、滑触线等。负责对压机程序修改,保证工作台在4个库位间和吊装位任意切换。2 .设备明细:名称类型起重机规格(起重量X跨度起升高度工作级别)数量(台)整机高度(mm)整机自重(t)大车行走距离(In)1#起重机双梁20tx1.0m6mA511700W6.57.02#起重机桥式20tx1.0m6m5117006.59.0注:1.整机高度指厂房轨顶到起重机小车顶高度;整机自重指起重机本体总重量(不含吊具)。2.乙方应尽量优化双梁宽度,保证大车行走距离;如无法保证,必要时,

3、乙方负责在厂房墙面开避让门洞。3.起重机参考简图:三.项目节点序号项目节点完成时间1合同签订2022年07月25日2设计完成时间2022年08月10日3制作完成时间2022年10月10日4预验收完成时间2022年10月15日5安装调试完成时间2022年11月15日6终验收完成时间2022年11月30日四.技术要求1.总体要求1.1 严格按照国家有关设计、制造、安装、检验等标准,在全面满足甲方需求的前提下,以低净空、自重轻、免维护、节电等国际先进水平的设计方案优先。1.2 本技术部分是最低限度的要求,并未对一切技术细节做出规定,也未充分引述有关标准和规范的条文。乙方应保证提供符合本技术规格和有关

4、标准的优质、先进产品。1.3 乙方提供的所有货物,其制造商应有完善的质量检测手段和质量保证体系,产品符合国家标准和行业标准。1.4 乙方所提供货物的设计、制造、产品性能、材料的选择、材料的使用、检验及产品的测试等,都应按国内外通行的现行标准和相应的规范执行,国内外标准、规范间关系为等同采用的,以其中最新的版本为准。而这些标准和技术规范应为合同签字日为止最新公布发行的标准和规范。1.5 乙方提供货物所使用的度量衡单位除技术规格中另有规定外,应统一用公制单位。1.6 乙方负责提供起重机框架地基尺寸、位置及负载要求。2.使用条件标准与规范1. 1使用条件(1)气温:最高气温40C、最低气温T0C;(

5、2)湿度:最大相对湿度90%;(3)地震:地震基本烈度为6度;(4)供电:三相四线380VAC(10%,50Hz(+2Hz),通过行车轨道接地。2. 2设计寿命(1)起重机寿命30年以上;(2)电气控制系统15年以上;(3)油漆寿命15年以上。3. 3标准与规范本起重机的设计、制造、安装和试验应遵照中国最新版本的标准与规范以及经甲方认可的等于或高于本技术文件的替代标准。适用标准包括但不仅限于以下清单所列标准:2. 3.1设计标准与规范(1) GB3811-2008起重机设计规范(2) GB6067.1-2010起重机安全规程第1部分总则(3) GB6067.5-2014起重机安全规程第5部分桥

6、式和门式起重机(4) GB/T14405-2011通用桥式起重机(5) GB5226.2-2002机械安全机械电气设备第32部分:起重机械技术条件(6) GB/T20303.1-2006起重机司机室第1部分总则(7) GB/T20303.5-2006起重机司机室第5部分桥式和门式起重机(8) GB/T25295-2010电气设备安全设计导则(9) GB12602-2009起重机械超载保护装置(10) GB/T28264-2012起重机械安全监控管理系统的要求(11) GB986-1998气焊、手工焊及气保焊焊缝坡口基本形式与尺寸(12) GB4942.1-2006旋转电机整体结构的防护等级(1

7、3) GB50052-2010供配电系统设计规范(14) GB50054-2010低压配电设计规范2.3.2材料标准与规范(1) GB699-88优质碳素结构钢(2) GB700-88碳素结构钢(3) JB/T6392-2008起重机车轮(4) GB8918-2006重要用途钢丝绳(5) GBT10183.1-2010起重机车轮及大车和小车轨道公差第1部分总则(6) GB1348-88低合金结构钢(7) GB1.1352-89一般工程用铸造碳钢件(8) J8/T9003-2004起重机用三合一减速器2.3.3检验标准与规范(1)GB5905-2011起重机试验规范和规程(2)GB/T3323-

8、2005钢熔化焊对接头射线照相和质量分级(3) GB1.1345-2013焊缝无损检测技术、检测等级和评定(4) GB/T8923.2-2008涂覆涂料前钢材表面处理(5) GB50278-2010起重设备安装工程施工及验收规范(6) GB50256-2014电气装置安装工程起重机电气装置施工及验收规范(7)工业企业噪声卫生标准卫生部、国家劳动总局颁布(8) IEC国际电工技术委员会的有关标准(9) ISO国际标准化组织的有关标准本项目所有起重机必须采用世界先进设计技术,设计上尽可能考虑降低起重机自重及高度,以便降低厂房高度、减小大车轮压,由此降低厂房结构和基础造价。3 .技术参数和性能要求表

9、3.1双梁桥式起重机:编号1#和编号2#,具体参数如下:起重机参数1#起重机2#起重机备注起重量(Gn)整机20t20t主钩20t20t跨度(S)IOmIOm起升高度(H)6m6m大车行走距离7m9m轨道型号乙方填写乙方填写起升机构型式欧式葫芦欧式葫芦要求紧凑型起重机高度(轨顶高到小车顶)(mm)乙方填写乙方填写1700un工作等级整机A5A5起升机构M4M4小车驱动机构M5M5大车驱动机构M5M5速度(mmin)主钩起升速度5/0.85/0.8双速小车运行速度0-200-20变频大车运行速度0-320-32大车纠偏系统无无跨度32m必配起重机自重乙方填写乙方填写6.5m最大轮压(kN)乙方填

10、写乙方填写总功率(kW)乙方填写乙方填写操作方式地面遥控地面遥控4 .起重机技术要求4.1 概述乙方所提供的起重机为全新设备,不得转包。本项目起重机的设计、制造、安装、检验等过程必须满足国家有关标准及监督、检验的规定。起重机的设计与制造总体技术水平达到当今国内外同类产品的先进水平。起重机的钢结构、机械系统、电气系统和安全保护装置要符合现行有关规范和标准。各机构能安全可靠地运行,震动、噪声、环保均符合现行有关标准的要求,消防和安全均符合中国的现行有关标准。起重机应把充分满足使用方的要求作为最重要的追求目标。起重机的设计图纸和技术文件的制图方法、尺寸、公差配合、符号等都应采用公制体系,并符合ISO

11、现行有关标准或中国现行有关国家标准的规定。乙方负责起重机总体设计、制造、运输、安装、调试、等协调工作。起重机钢结构设计合理、结构优化、符合规范和标准,满足强度、刚度和稳定性的要求,设计中应充分考虑现场的工作环境;钢结构的设计必须考虑到制造、检查、运输、安装和维护等方便与可能性。在满足需求和有关现行规范标准条件下,通过优化设计,最大限度地降低钢结构的重量。4.2制造材料4.2.1所有选用的材料和部件是没有缺陷的优质新材料,满足起重机工作级别的要求,均具有工厂检验合格证书,并按甲方要求提供。4.2.2主要钢结构材料不低于Q235B。使用材料具有材质报告及相应的合格证书。钢结构的制造、焊接、检验应按

12、国家相应标准进行。有关的工艺及检测项目在设计审查时,提交甲方认可。4.2.3各种零部件均采用对人体无害的环保材料。4.3钢结构4.3.1一般要求金属结构严格按照有关标准进行设计、制造和检验:满足强度、刚度和稳定性的要求,并有足够的疲劳寿命。设计中要充分考虑现场的工作环境以及制造、检查、运输、安装和维护等的方便性与可能性。主要承载构件的结构设计受力明确、传力直接、并尽可能降低应力集中的影响。主梁采用偏轨箱型梁结构,由上、下盖板、腹板、隔板等组成,有良好的刚度、强度和抗疲劳性,小车轨道铺设在主梁主腹板的正上方。主梁要具有上拱度,跨中的上拱度控制在(0.9/10001.4/1000)S,最大上拱度可

13、控制在跨中S/10的范围内(S为起重机跨度)。主梁拱度由下料保证,不得进行火焰矫正,一次校验成功。采用长、宽板材,尽量减少拼接焊缝数量。当满载小车位于跨中时,由额定载荷和小车自重在跨中引起的垂直挠度不大于S/1000o端梁尽量采用台车较接式柔性设计。主梁与端梁采用10.9级高强螺栓连接,强度高,确保整机精度和运行平稳。起重机具有满足标准要求的安全通道和护拦,可以方便、安全地到达需要维修及检查地点。所有的通道、走台、平台等都具有足够的刚性,适合人体活动范围和安装的活动空间。梯子、平台及栏杆等相关尺寸要严格、完全地按GB6067起重机安全规程执行。小车架结构要具有受力清晰、结构紧凑、布置合理的特点

14、,具有足够的强度和刚度。采用整体加工,车轮孔一次加工成型,确保机构的安装精度和使用性能。4.3.2材料与工艺要求主梁由钢板焊接成型,材料必须符合国家标准,具有良好的焊接工艺性。主要钢结构材料采用不低于Q245B,所使用的材料具有材质报告及相应的合格证书。采用经甲方认可的焊接工艺,尽量减少焊接处的残余应力。对高强度钢材结构件,选择合理的焊接工艺并进行相应的试验,以减少其制造内应力,防止焊缝开裂及控制其变形。主梁焊接成型后必须进行整梁抛丸,消除焊接应力,确保主梁尺寸精度和稳定性。重要受力焊缝应采取埋弧自动焊或气体保护焊,并按规定进行外观检查和无损探伤,检测要求达到射线II级,超声波I级。主要结构件的焊接人员应有国家或行业认可的焊工等级证书,主要焊缝要具有焊接工艺评定,并具备质量可追溯性。为保证金属结构件防腐处理、除锈能力和增施油化附着力,所有钢材下料前进行抛丸除锈处理,除锈等级达到688923-2008规定的菊2.5级。结构件的外形便于维修、保养、除锈和油漆;在经常检查维修的地方设检查孔、平台和梯子。结构件材料、焊接材料和焊缝质量、高强度螺栓连接施工质量以及结构

展开阅读全文
相关资源
猜你喜欢
相关搜索

当前位置:首页 > 建筑/环境 > 桩基础

copyright@ 2008-2023 1wenmi网站版权所有

经营许可证编号:宁ICP备2022001189号-1

本站为文档C2C交易模式,即用户上传的文档直接被用户下载,本站只是中间服务平台,本站所有文档下载所得的收益归上传人(含作者)所有。第壹文秘仅提供信息存储空间,仅对用户上传内容的表现方式做保护处理,对上载内容本身不做任何修改或编辑。若文档所含内容侵犯了您的版权或隐私,请立即通知第壹文秘网,我们立即给予删除!